Zoning Change Request for 511 Saunders Street
PUBLIC HEARING SCHEDULED: FEBRUARY 24, 2026 / 803 E MAIN STREET / 5:30 PM.
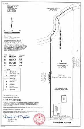
Staff has received an application requesting the rezoning of the property located at 511 Saunders Street, identified as Original Town of Gatesville, Block 65, Lot 2, consisting of approximately 0.808 acres. The subject property is currently zoned Residential Two- to Four-Family (R 2-4), and the owner/applicant, Kaleb Hitt is requesting a zoning change to Business Commercial (BC).
The City’s Future Land Use Map within the newly adopted Comprehensive Plan designates this area as Business Commercial, making the request consistent with long-range planning goals. Approval of this rezoning would support the introduction of low-intensity neighborhood-oriented commercial uses designed to be compatible with surrounding development. Mr. Hitt has indicated an intent to establish a business that complements the existing neighborhood character and contributes positively to the revitalization and enhancement of the area.
